See the Vision:
Stories from Our Community
Hear directly from the families, future residents, and advisors who are making WeBUILT Wilkes a reality.
Their stories show why this community matters and how it will change lives.
Independence with Support
YOUR OWN SPACE,
YOUR OWN LIFE
Free to live life as you choose, every resident at WeBUILT Wilkes has their own private living space. No conforming to someone else's schedule every moment of the day. No shared bedrooms. Just your own home where you can cook, relax, and live life on your terms—with a safe, supportive community right outside your door when you need connection.

True Community Connection
FRIENDSHIPS THAT
GET YOU
After high school, social opportunities disappear for many young adults making life extremely challenging and anxiety provoking. At WeBUILT, genuine connections are developed through safe neighborhood activities, evening meals together in the community center and friendship groups that are already meeting on the third Thursday of each month.

Designed
for You
SENSORY-FRIENDLY. PREDICTABLE. SAFE.
Every detail at WeBUILT Wilkes is intentionally designed to reduce stress and support success. Each home is thoughtfully designed to reflect the unique interests and personalities of the individuals who will live there. Sensory-friendly features eliminate unpredictable sounds and overwhelming stimuli. The consistent routine and predictable environment help residents feel secure.

We're Building Something Special
—With Your Help
Where We Are Now
We are incredibly grateful to have secured three acres of land in the West Park area of North Wilkesboro, North Carolina.
Fundraising is currently underway to support our $5.7 million capital construction budget and the response has been incredible. Fundraising, including grant writing, donations of goods and/or services, resident buy-ins and philanthropic gifts drive down the cost for residents.
Thanks to generous supporters like you, every donation brings us closer to our goal and another step closer to breaking ground on North Carolina's first WeBUILT community.
What Happens Next
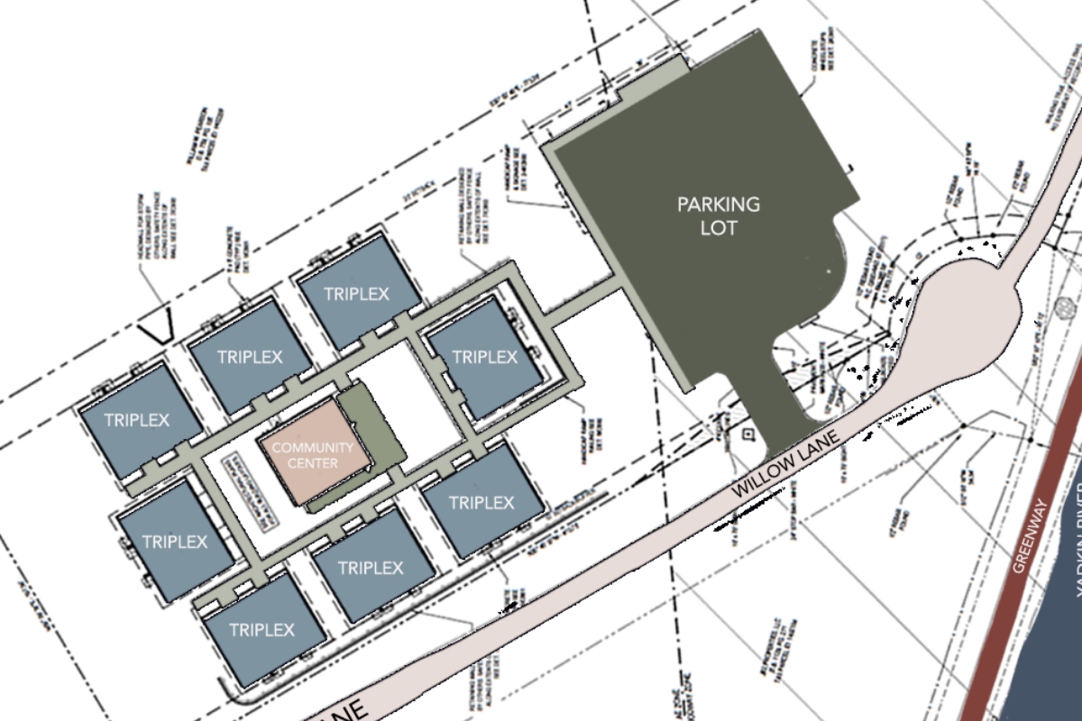
Once sufficient funding has been secured, construction will begin on eight triplex homes arranged around a central community center. This intentional design creates a neighborhood where 22 adults of all abilities can live independently while building natural friendships through shared meals, activities, and daily life.
The Timeline
Groundbreaking will begin once we have secured the funds needed for construction. We're working diligently to make this dream a reality as quickly as possible.
New Life Experiences
Our focus at WeBUILT Wilkes is to create opportunities for new life experiences and friendships that empower individuals to be successful in community living. WeBUILT Wilkes is designed to help residents know their neighbors, form natural friendships, learn about each other, depend on each other and "do life" together.
Creating a comfortable home that makes life more manageable for each individual improves overall health and well-being. WeBUILT Wilkes values its residents by:
- Creating a beautiful neighborhood in a quiet cul-de-sac
- Allowing everyone to live life as they choose
- Providing a safe, supportive and more predictable environment
- Including a mix of adult ages, a shared desire to live in support of others and a mix of individuals working inside and outside the community
- Allowing residents to live in privacy while having the benefits of connection
- Providing opportunities for social access to their friends as well as daily living supports for tasks that are difficult for them
- Encouraging a healthy lifestyle that affects the whole person
- Offering inclusive programs and activities with engaging social opportunities
- Customizing each home to reflect unique interests and personalities
- Focusing on meeting each individual's sensory and specific needs
- Incorporating unique sensory features and high-quality soundproofing
- Providing a centralized "hub" that allows everyone to come together for meals, socialization and activities. "Everyone has a seat at the table"
- Allowing residents to age in place
WeBUILT Wilkes is a community where everyone can live with dignity, acceptance and joy. Designed for mutual support and social well-being, WeBUILT Wilkes is more than just a place to live, it's a place to grow, thrive and be part of something bigger than themselves! Together, we're creating a space where everyone belongs and where the future is brighter for all.
The Community Taking Shape
Located adjacent to the Yadkin River Greenway, WeBUILT Wilkes will be a gated, walk-in community nestled in a quiet cul-de-sac at 1478 Willow Lane in the West Park area of North Wilkesboro. Eight triplex homes will face inward toward a centralized community center (a.k.a. "Party Barn")—intentionally designed so residents naturally encounter each other during daily life. With easy access to town, residents can walk safely, access services, and be part of the larger Wilkes community.



Who Will Call WeBUILT Wilkes Home?
WeBUILT Wilkes is designed for adults aged 18 and older of all abilities who seek a more predictable, supportive environment and desire greater independence with safe social activities.
IDEAL RESIDENTS:
- Can manage some time alone or bring personal support services to meet their needs
- Want to develop or maintain independent living skills
- Seek social connection with others who understand their experiences
- Desire more independence
- Need a sensory-friendly, predictable environment to thrive


What everyone shares is a desire to live in support of others—to be part of a community where people understand each other's challenges and celebrate each other's victories.
"We all like to choose our friends and who we hang out with. When you have people that get you, who understand where you're coming from, who have similar issues, maybe very different issues, but quirks, I call them. When you get other people's issues and then you realize everybody has them, it's a supportive environment."

Join Us
If WeBUILT Wilkes sounds right for you or your loved one, we'd love to hear from you. Contact Us to start a conversation about residency.
Be Part of This Life-Changing Community
Every donation brings us closer to groundbreaking. Every person who shares our story expands our reach. Every family that applies reminds us why this work matters.
YOUR SUPPORT MAKES INDEPENDENCE POSSIBLE
WeBUILT WILKES will rely on early donations through LivingHope Corporation, our 501(c)(3) nonprofit partner, that will be used very specifically to help offset the cost of the build. Every donation will directly fund the construction, significantly reducing housing costs for individuals with limited resources.

